o.p.a.株式会社
プロのマリンインストラクターが丁寧にガイド。初心者も子ども連れも安心のシュノーケリング体験
初心者でも安心して楽しめる真夏の冒険が、三重のLUXUNA(ラグナ)伊勢志摩に新登場!
沖縄と遜色ない透明度を誇る御座の海を舞台に、プロのマリンインストラクターによる丁寧なサポートで、色鮮やかな魚たちとの出会いと非現実な海の世界を満喫できる90分のシュノーケルカヤックツアーがスタートしました。

沖縄に匹敵するほどの透明度抜群の海
三重県志摩市にあるグランピングリゾート「LUXUNA伊勢志摩」は、SUPやメガSUP、クリアカヤックなど様々なマリンアクティビティを体験していただいける施設となっております。

人気のクリアカヤック
大人数で乗れるメガSUP
そんなLUXUNA伊勢志摩に、2025年7月からカヤックで海へ漕ぎ出し、色とりどりの熱帯魚と出会える「シュノーケルカヤックツアー」が新登場しました。
こちらのツアーを始めた背景は、LUXUNAの海には三重県近海に入る黒潮の影響で色とりどりの熱帯魚や沖縄から流れ着く魚など、普段海水浴場ではあまり見ることのできない魚達が沢山生息しており、経験豊富なマリンスタッフが快適に初心者の方でも楽しめるツアーを行えると強く実感したからです。

シュノーケリングの様子

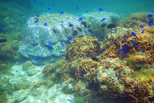
LUXUNAの海で見られる色とりどりの魚たち
ガイドを務めるのは、LUXUNAの海を知り尽くしたプロのマリンインストラクター尾後幹太(おご・かんた)。
若く親しみやすい人柄で、お子さま連れや海に不慣れな方にも丁寧に対応いたしますので、安心して参加していただけます。
【マリンスタッフからのコメント】
是非、LUXUNA伊勢志摩のある御座の海が誇る透明度と海の世界で非現実を味わって体験してみて下さい!

レクチャー中のマリンインストラクター
シュノーケルカヤックツアーでは、2人乗りのカヤックでガイドスタッフが先行しながら共にビーチまで進み、御座の透明度抜群の海中世界を観察します。
ツアーは6歳から参加可能で、初心者でもライフジャケットとシュノーケルマスク無料貸出とガイドによるレクチャー付きで安心安全でアクティビティを楽しめます。

ガイド付きで安心してお楽しみいただけます
■ シュノーケルカヤックツアー概要
対象年齢:6歳(小学生)~65歳
※12歳未満は保護者同伴必須
所要時間:90分
料金:6,500円(税込)/1名
定員:8名(2人乗りカヤック×最大4台)
開催期間:2025年9月30日まで
開催時間:
・~7月18日:14:00スタート(1回のみ)
・7月19日~:10:30/12:30スタート(1日2回)
予約方法:オフィシャルサイト/アソビュー/じゃらん
オフィシャルサイト(https://reserve.489ban.net/client/luxuna2021/0/plan/daytrip#content)
アソビュー(https://www.asoview.com/base/157274/)
じゃらん(https://www.jalan.net/)
■ 施設紹介

三重県志摩市志摩町御座にあるLUXUNA(ラグナ)伊勢志摩は、グランピング場と大自然アクティビティが融合した複合施設。目の前に広がる御座白砂のビーチと透明度抜群の美しい海を活かし、キャンプ初心者でも快適に自然を楽しめる空間を提供しています。
今回ご紹介したシュノーケルカヤックツアーは、自然の中での非日常体験をより深く味わっていただく新たな取り組みです。
■ 会社概要
会社名:o.p.a.株式会社
所在地:〒517-0705三重県志摩市志摩町御座878( Googleマップはこちら )
代表者:代表取締役 川畑 裕紀
設立:令和2年12月15日
事業内容:宿泊施設運営
URL:https://luxuna2021.com/
Instagram:https://www.instagram.com/luxuna.iseshima
お問い合わせ:info@luxuna2021.com
企業プレスリリース詳細へ
PR TIMESトップへ